Disaster Relief
COVID-19 Response for Global Relief

An American Baptist plea for emergency ‘One Great Hour of Sharing’ support as COVID-19 creates great need VALLEY FORGE, PA (4/8/20)—As the United States and the globe deal with the …

IM Responds with Relief for Outbreak of COVID-19

Thank you very much! You have responded generously and the China relief effort is completed. GIFTS ARE NOW BEING ACCEPTED FOR OGHS-COVID RESPONSE FOR GLOBAL RELIEF [GIVE NOW] The outbreak …

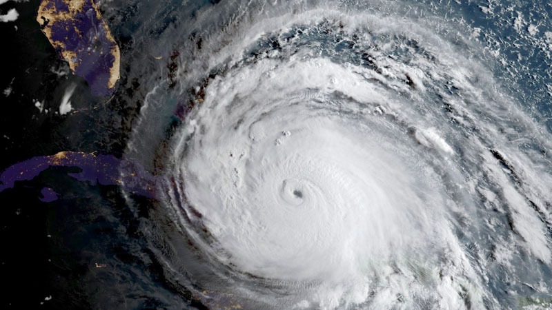
IM Invites Support for Bahamas Recovery

International Ministries (IM) is partnering with the Lott Carey Global Missional Community and the Cooperative Baptist Fellowship (CBF) to assist in recovery efforts in the Bahamas following the devastating blow …

IM Responds to Destruction Wrought by Hurricane Dorian in the Bahamas

Hurricane Dorian, which over the Labor Day weekend was one of the most powerful Atlantic hurricanes on record, pounded Grand Bahama Island for more than an entire day, killing at …

IM Responds to Destruction Wrought by Cyclone Idai in Southern Africa

IM responded quickly with an $11,700 One Great Hour of Sharing (OGHS) emergency relief grant to UBCZ. The funds were put to work immediately.